Tapumaxtan Akçakoca Osmaniye 1433 M2 Yatırımlık Satılık Arsa

  • Satılık
  • Konut Alanı İmarlı

₺15.250.000

Açıklama

YETKİ BELGE NO :  8100073

 

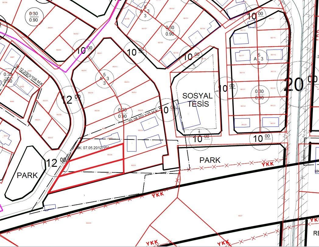
DÜZCE AKÇAKOCA OSMANİYE MAHALLESİ

1433  M2     YATIRIMLIK SATILIK ARSA

 

3 KAT KONUT İMARLI  -  4 KAT İÇİN BELEDİYE GÖRÜŞÜ 

TAKS ;  0,30   -  KAKS  ;  0,90  

 

12 METRE YOLA CEPHE -  ELEKTRİK , SU , DOĞALGAZ HATTI MEVCUT

ÖN CEPHE BELEDİYE ÇOCUK PARKI 

 

ULAŞIM SORUNU OLMAYAN  - MERKEZE VE SAHİLE 1 KM MESAFE 

 

YATIRIMCILAR İÇİN FIRSAT ÜRÜNÜ....

  • Portföy Id464672
  • Portföy TipiSatılık
  • Krediye UygunEvet
  • Brüt m²1.433
  • Net m²1.433
  • Tapu DurumuHisseli Tapu
  • Güncelleme Tarihi 05.05.2026

Özellikler

Altyapı
Elektrik
Doğalgaz
Telefon
Su
Yolu Açılmış
Konum
Ana Yola Yakın
Denize Yakın
Toplu Ulaşıma Yakın
Genel Özellikler
Parselli
Manzara
Şehir
Deniz
Doğa

Konum

Danışmana Ait Diğer Portföyler

Tümünü Gör
Property-photo
Arsa
Satılık
Tapumaxtan Akçakoca Ayazlı 504 M2 Denize ' 0 ' Sat...
  • Brüt: 504 m²
  • Net: 504 m²
₺22.000.000 Detay
Property-photo
Ticari
Satılık
Property-photo
Arsa
Satılık
Tapumaxtan Düzce Akçakoca Kalkın 10.934 M2 Yatırım...
  • Brüt: 10.934 m²
  • Net: 10.934 m²
₺13.000.000 Detay
Property-photo
Arsa
Satılık
Tapumaxtan Akçakoca Osmaniye 1433 M2 Yatırımlık Sa...
  • Brüt: 1.433 m²
  • Net: 1.433 m²
₺15.250.000 Detay
Property-photo
Arsa
Satılık
Tapumaxtan Düzce Konuralp 416 M2 'Den Başlayan Sat...
  • Brüt: 416 m²
  • Net: 416 m²
₺4.160.000 Detay
Property-photo
Ticari
Satılık